Casa indipendente a San Secondo da ristrutturare

In vendita
Casa singola
San Secondo di Pinerolo
89.000 €
Descrizione
L’AGENZIA NORDEDIL di Pinerolo propone in vendita una casa indipendente situata nella splendida collina di San Secondo, in una posizione privilegiata che assicura tranquillità, privacy e una vista panoramica aperta sul paesaggio circostante.
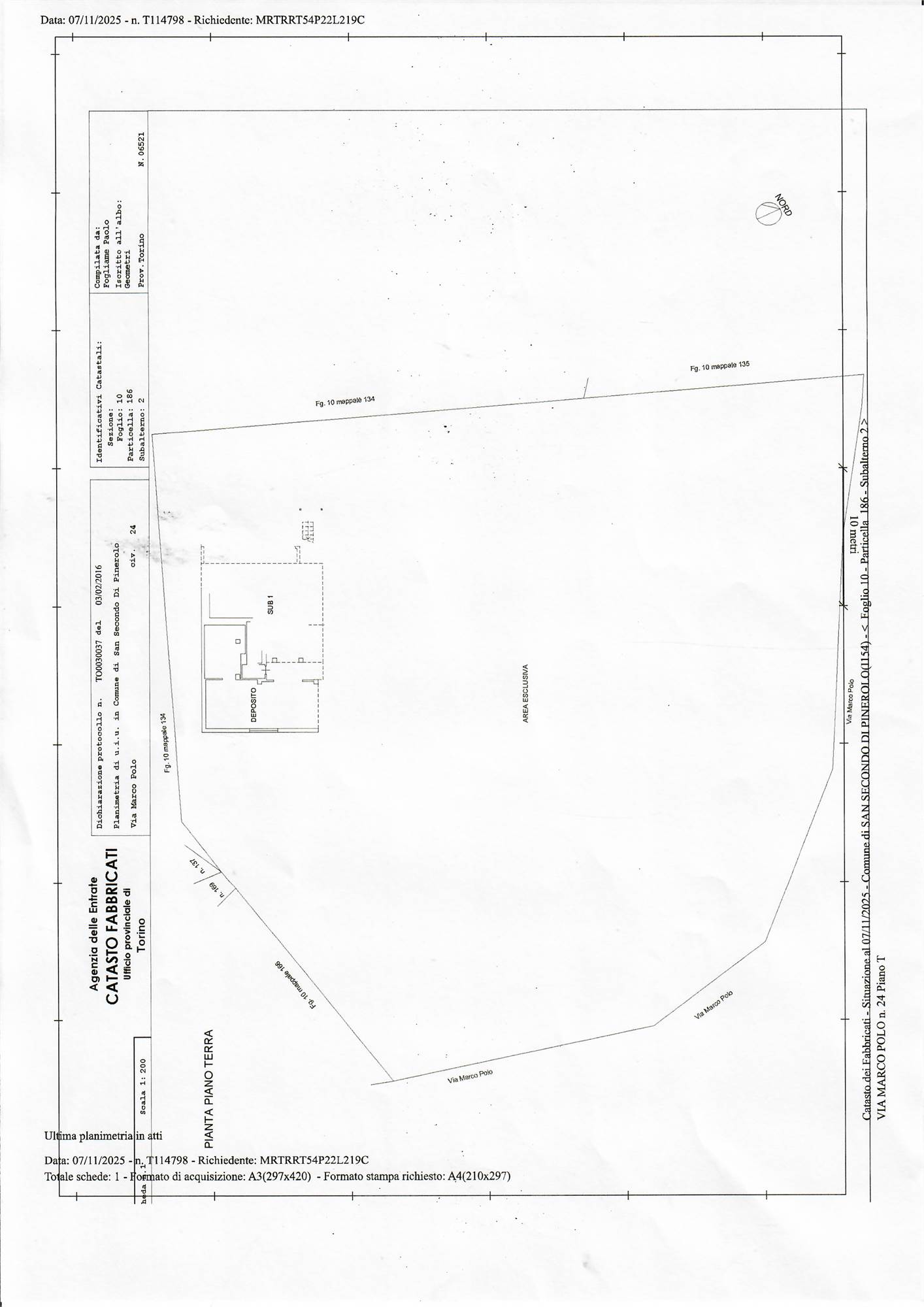
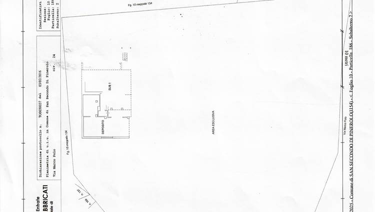
Al piano terreno trovano spazio due locali deposito, un locale di sgombero e due box auto, soluzioni che garantiscono praticità e comfort per ogni esigenza.
Al primo piano si sviluppa invece la parte abitativa, composta da soggiorno, cucina, due camere da letto e due bagni, con ambienti ben distribuiti e facilmente personalizzabili.
L’immobile è completamente da ristrutturare e dispone di planimetrie con progetto di ristrutturazione già approvato dal Comune, un valore aggiunto che consente di avviare i lavori con maggiore rapidità lasciando comunque libera espressione alla creatività del futuro proprietario.
Per chi desidera un’abitazione modernizzabile, sostenibile e perfettamente integrata nel paesaggio, è inoltre possibile, demolendo l'esistente, valutare la realizzazione di una nuova costruzione.
L’accesso è agevole grazie alla strada asfaltata; all’esterno si trovano un giardino privato e un terreno di circa 1.800 mq, ideale per creare aree relax, spazi verdi, un orto oppure per sviluppare ulteriori progetti.
Una proposta rara e altamente interessante, ideale per chi cerca una soluzione indipendente immersa nel verde, senza rinunciare alla comodità dei servizi raggiungibili in pochi minuti.
Contattaci per scoprire tutte le potenzialità che questa proprietà può offrire.

Contattateci per ulteriori informazioni e per organizzare una visita.
Ufficio Nordedil: 0115683700
Barban Denise 351/6185736 Reperibile su whatsapp.
denise.barban04@gmail.com
Altri immobili cliccando su:
www.nordedil.info
-------
VENDETE O LOCATE UN IMMOBILE? Ecco cosa Vi offriamo:
Valutazione immobiliare professionale, volendo anche certificata ad uso legale.
Vendita o locazione del Vostro immobile con grande visibilità a livello locale e nazionale.
Possibilità di garantire la vendita certa con realizzo immediato o entro un certo periodo predeterminato.
Permute immobiliari.
Servizi di vendita professionali con foto e video di alta qualità, visita virtuale.
Locazione a clienti con redditi verificati e con fideiussione/assicurazione a garanzia del puntuale pagamento del canone.
Presenza costante su social network, portali immobiliari, riviste specializzate e newsletter. Collaboriamo anche con le banche per aumentare la visibilità del Vostro immobile a livello nazionale.

Forniamo assistenza anche in merito a ristrutturazione e costruzione di immobili.
Consultateci senza impegno.
---------
Per informazioni e appuntamenti

Seguici su www.facebook.com/nordedil : tanti immobili e articoli di normativa immobiliare
---------
Caratteristiche principali
Codice:
V007589
Città:
San Secondo di Pinerolo
Categoria:
Casa singola
Locali:
4
Camere:
2
Bagni:
2
Mq:
80
Box:
2
Posti auto:
2
Mq Giardino:
1800
Balconi:
1
Piano:
1,5
Anno:
1970
Classe energetica:
E
265,03
Stato Immobile:
Da Ristrutturare
Grado:
Medio
Posizione:
Collina
Panorama:
Vista Aperta
Lati Liberi:
4
Giardino:
Privato
Arredi:
Non Arredato
Tipo Soggiorno:
Soggiorno
Riscaldamento:
Autonomo
Tipo Riscaldam.:
Caldaia
Tipo Impianto:
Radiatori
Fonte Energetica:
GPL
Infissi:
Legno
Serramenti:
Da Sostituire
Accessori
Ingresso Indipendente
Ripostiglio
Mappa
Via Marco Polo - San Secondo di Pinerolo (TO)
Distanze
Posizione
Centro3,2 km
Parco pubblico8,2 km
Istruzione
Scuola materna3 km
Scuola elementare3 km
Scuola media3,7 km
Mezzi di trasporto
Fermata metro-bus-tram3,3 km
Stazione dei treni3,7 km
Altri servizi
Banca4,5 km
Farmacia3,2 km
Ospedale6,2 km
Richiedi informazioni
Invia
Cookie preference